Notícias
ICMBio promove consultas públicas para debater com sociedade criação do Parque Nacional do Albardão, no RS
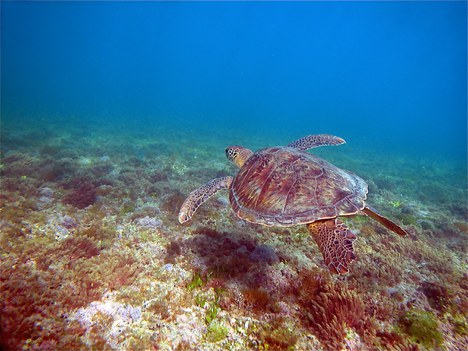
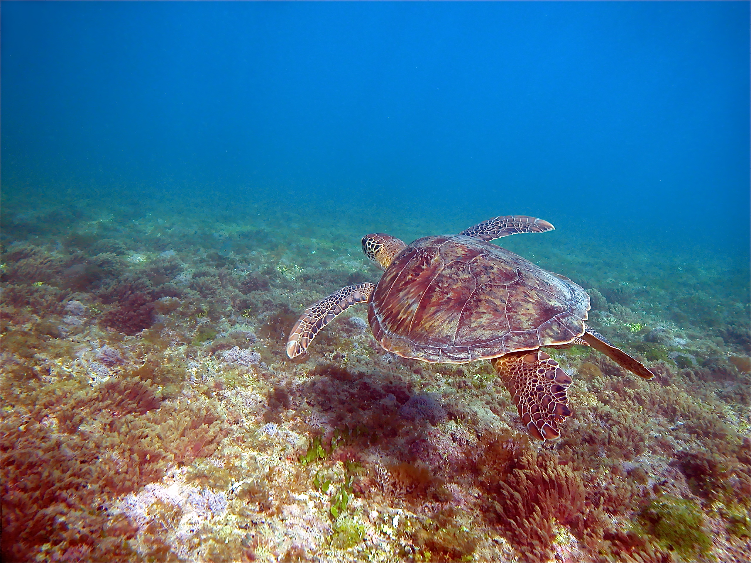
Área de ocorrência de três espécies de tartarugas marinhas (tartaruga-verde, tartaruga cabeçuda e tartaruga-de-couro), dez espécies de mamíferos marinhos, como a baleia-franca, golfinho nariz-de-garrafa, toninha, leões e lobos marinhos, além de animais ameaçados como o cação-anjo, cação-listrado, tubarão-martelo e outras 18 espécies. Sem contar a rica biodiversidade aves marinhas e costeiras (15 espécies) e de aves pelágicas (27 espécies) - todas residentes e migrantes; e espécies das áreas terrestres costeiras e lagunares. Na praia isolada que abrange a área do futuro parque vivem mamíferos terrestres como o tuco-tuco-da-praia e o graxaim; répteis e anfíbios como o sapo-da-duna e a lagartixa-da-areia.
Assim é a região do Albardão, no Rio Grande do Sul. Com o objetivo de proteger todo esse patrimônio ambiental de valor imensurável, o Instituto Chico Mendes de Conservação da Biodiversidade (ICMBio) promove, nos dias 29 e 30 de abril, duas consultas públicas nos municípios de Santa Vitória do Palmar e Rio Grande (RS).
O foco é debater com a comunidade em geral, Órgãos Ambientais, entidades públicas federais, estaduais e municipais, organizações não governamentais, associações de moradores, proprietários de terras e representantes dos setores produtivos o processo de criação do Parque Nacional do Albardão, no Rio Grande do Sul – Unidade de Conservação federal, cuja área total abrangerá 1,6 milhões de hectares, sendo sua maioria em ambiente marinho 1.590.000 ha e apenas 21.000 ha em ambiente terrestre. Albardão é o nome do farol que fica na área desde 1909.
A região já constava como de extrema importância”, desde 2004, em mapa do MMA de “Áreas Prioritárias para a Conservação”. E em 2005, a área foi destacada como de importância fundamental para a conservação dos tubarões e raias do Brasil. Mas foi em 2008 que o Conselho Nacional da Reserva da Biosfera indicou a necessidade de que a área fosse protegida na forma de unidade de conservação.
Participe! Confira os dias, locais e horários das consultas:
29 de abril de 2024 - Município de Rio Grande - RS - às 14:00 horas, na Universidade Federal de Rio Grande - Campus Carreiros, Av. Itália Km 8, bairro Carreiros, Rio Grande, RS, CEP: 96203-900.
30 de abril de 2024 – Município de Santa Vitória do Palmar – RS - às 14:00 horas, no Auditório do LaTur FURG - Campus Santa Vitória do Palmar, Rua Glicério P. de Carvalho, 303, Santa Vitória do Palmar, RS, CEP: 96230-000.
As informações técnicas sobre a proposta de criação do Parque Nacional do Albardão-RS estão disponibilizadas na página do ICMBio (www.icmbio.gov.br), no link: https://www.gov.br/icmbio/pt-br/acesso-a-informacao/participacao-social/lista-de-consultas-publicas.
Dúvidas devem ser encaminhadas por e-mail para: consultapublica@icmbio.gov.br ou por correspondência para o endereço: Instituto Chico Mendes de Conservação da Biodiversidade - Diretoria de Criação e Manejo de Unidades de Conservação - DIMAN - Coordenação de Criação de Unidades de Conservação – COCUC; EQSW 103/104, Bloco D, Complexo Administrativo, Setor Sudoeste - Brasília/ DF; CEP: 70.670-350; IARA VASCO FERREIRA – Diretora.
Comunicação Centro TAMAR/ICMBio
(71) 8174-8614 (Escritório Centro TAMAR/ICMBio Sede, em Vitória-ES)


