Ir para o Conteúdo 1 Ir para a Página Inicial 2 Ir para o menu de Navegação 3 Ir para a Busca 4 Ir para o Mapa do site 5
Abrir menu principal de navegação
Instituto Chico Mendes de Conservação da Biodiversidade
Termos mais buscados
  • imposto de renda
  • assinatura
  • inss
  • mei
  • Simples Nacional
Termos mais buscados
  • imposto de renda
  • assinatura
  • inss
  • Serviços
    • Solicitar Autorização Especial para Captação de Imagem em Unidade de Conservação
    • Serviços do ICMBio no gov.br
      • Autorizações
      • Agendamento de visitas em unidades de conservação federais
      • Compensação de Reserva Legal
      • Crie sua RPPN
      • Seja um Voluntário
      • Solicitar Autorização Especial para Captação de Imagem em Unidade de Conservação
    • SEI! - Sistema Eletrônico de Informações
      • Barramento - ConectaGov
      • Protocolar documentos
      • Documentos
    • Sistemas do ICMBio
      • CANIE - Cadastro Nacional de Informações Espeleológicas
      • SAMGe - Sistema de Análise e Monitoramento de Gestão
    • Concessão de serviços de apoio à visitação
    • Solicitar autorização para Uso Comercial de Imagem de Unidade de Conservação Federais
    • Requerer Adesão à Solução Legal
    • Consultar ocorrência de embargo e Emitir Certidão Negativa de Embargo
  • Assuntos
    • Unidades de Conservação - por categoria
      • RDS
      • REVIS
      • MONA
      • ARIE
      • ESEC
      • REBIO
      • APA
      • FLONA
      • RESEX
      • PARNA
      • RPPN
    • Notícias
      • Últimas Notícias
    • Biodiversidade
      • Planos de Ação Nacional para Conservação de Espécies Ameaçadas de Extinção - PAN
      • Planos de Redução de Impactos sobre a Biodiversidade
      • Unidade de Conservação
      • Manejo de Espécies Exóticas Invasoras
      • Risco de Extinção da Fauna Brasileira
      • Genômica da Biodiversidade Brasileira
      • Programa de Manejo Populacional
    • Centros de Pesquisa
      • Aves Silvestres
      • Biodiversidade Amazônica
      • Biodiversidade Aquática Continental
      • Biodiversidade e Restauração Ecológica
      • Biodiversidade Marinha
      • Cavernas
      • Mamíferos Aquáticos
      • Mamíferos Carnívoros
      • Povos e Comunidades Tradicionais
      • Primatas Brasileiros
      • Répteis e Anfíbios
      • Tartarugas Marinhas
      • Biodiversidade Marinha do Sudeste e Sul
      • Biodiversidade Marinha do Nordeste
    • Criação de Unidades de Conservação
      • Legislação
      • Lista de Consultas Públicas
    • Dados Geoespaciais
      • Dados geoespaciais de referência da Cartografia Nacional e dados temáticos produzidos no ICMBio
    • Mosaicos e Corredores Ecológicos
      • Corredores Ecológicos Instituídos
      • Projeto Jalapão
      • Mosaicos Federais Reconhecidos
    • Proteção
      • Fiscalização Ambiental
      • Monitoramento Ambiental
      • Atividade de Inteligência Ambiental
      • Seja um Agente Temporário Ambiental
      • seja um brigadista
    • Consolidação Territorial
    • Gestão Socioambiental
      • 2019
      • 2018
      • 2017
      • Gestão Participativa
      • Gestão de Conflitos
    • Populações Tradicionais
      • Produção e Uso Sustentável
      • Políticas e Comunidades Tradicionais
      • Comissão das Reservas Extrativistas Federais - Conarex
    • Manejo para Conservação
      • Coordenação-Geral de Estratégias para Conservação
      • Coordenação de Avaliação do Estado de Conservação da Biodiversidade
      • Coordenação de Análise e Prognóstico de Risco à Biodiversidade
      • Coordenação de Planejamento de Ações para Conservação de Espécies Ameaçadas de Extinção - COPAN
    • Pesquisa
      • Iniciação Científica
      • Como participar
      • Nossos pesquisadores
      • Venha Pesquisar Conosco
      • Seminários de Pesquisa do ICMBio
      • Revistas e Periódicos
      • Inovação Tecnológica
      • Projetos Apoiados
      • Revista Biodiversidade Brasileira
      • CEUA ICMBio
      • Inovação Tecnológica
    • Programas e Projetos
      • Portal da Biodiversidade
      • Acordos de cooperação
      • Projeto Gestão Florestal para a Produção Sustentável na Amazônia
      • Credenciamento de Organizações da Sociedade Civil (OSC)
    • Compensação ambiental
    • Monitoramento
      • Painel Interativo Relatório Florestal
    • Patrimônio Mundial
    • Observação de aves
      • Lista das Unidades de Conservação Federais com turismo de observação de aves
      • Captação e uso de imagens
      • Calendário de eventos de observação de aves
    • Acessibilidade
      • Experiências para PCD visual
      • Experiências para PCD auditiva
      • Experiências para PC deficiência ou limitação de mobilidade
  • Acesso à informação
    • Institucional
      • O Instituto
      • Estrutura
      • Quem é quem
      • Agenda de autoridades
      • Atos Normativos
      • Centro de Formação em Conservação da Biodiversidade (ACADEBio)
      • Procuradoria Federal Especializada
      • Onde estamos
      • Missão
      • Comitê Gestor
      • Quem foi Chico Mendes?
    • Ações e Programas
      • Ações Socioambientais e Consolidação Territorial em UCs
      • Pesquisa, Avaliação e Monitoramento da Biodiversidade
      • Planejamento, Administração e Logística
      • Criação e Manejo de Unidades de Conservação
      • Carta de Serviços
      • Governança Institucional e Gestão Estratégica
    • Participação social
      • Consultas Públicas para Criação de Unidades de Conservação federais
      • Normativas/Planos de Manejo em Consulta Pública
      • Educação Ambiental
      • Consulta Pública Monumento Natural Cavernas do Desidério
    • Auditorias
      • Processos de Contas Anuais
      • Auditoria Interna
      • Transparência e prestação de contas
      • Ações de supervisão, controle e correição
    • Convênios e transferências
    • Receitas e despesas
      • Emendas de Relator (RP 9)
    • Licitações e Contratos
      • Licitações
      • Chamamento Público
    • Servidores ou Empregados Públicos
      • Terceirizados
    • Informações Classificadas
    • Serviço de Informações ao Cidadão - SIC
      • Fluxogramas
    • Perguntas Frequentes
    • Dados Abertos
    • Sanções Administrativas
      • Infrações Ambientais
    • Ferramentas e aspectos tecnológicos
    • Lei Geral de Proteção de Dados (LGPD)
    • Governança e Gestão de Pessoas
      • Programa de Gestão e Desempenho (PGD)
    • Concessão de Serviços de Apoio à Visitação
      • Paineiras Corcovado
      • Relatório Anual
      • Investimentos
    • SISFAMILIAS
      • Arquivos
  • Composição
    • Presidência
      • Arquivos
    • Diretoria de Planejamento, Administração e Logística
      • Currículo
    • Diretoria de Criação e Manejo de Unidades de Conservação
      • Currículo
    • Diretoria de Ações Socioambientais e Consolidação Territorial em UCs
      • Currículos
    • Diretoria de Pesquisa, Avaliação e Monitoramento da Biodiversidade
      • Curriculo
    • Gerências Regionais
      • Currículos
    • Unidades de Conservação Federais
  • Centrais de Conteúdo
    • Vídeos
    • Publicações
      • Atlas
      • Documentos
      • Gestão Estratégica
      • Legislação
      • Planos
      • Publicações Diversas
      • Publicações MMA
      • Relatórios
      • Revistas Científicas
      • Roteiros
      • Planos de Manejo Integrado do Fogo
      • Guias de Aves
      • Editais Diversos
    • Biblioteca
    • Logomarca
    • Painéis Dinâmicos do ICMBio
    • Série Parques do Brasil
      • Conheça a série Parques do Brasil
  • Canais de Atendimento
    • Imprensa
      • Notas à Imprensa
    • Ouvidoria
      • Conselho de Usuários
      • Sala de atendimento Ouvidoria
    • Processo Eletrônico
    • Corregedoria
    • Comissão de Ética
      • Integrantes Da Comissão De Ética
      • Código de Ética do ICMBio
      • Ética Pública
      • Atas das Reuniões
  • Redes Sociais/Canais
    • Facebook
    • Instagram
    • Youtube
    • Canal WhatsApp
    • LinkedIn
  • GOV.BR
    • Serviços
      • Buscar serviços por
        • Categorias
        • Órgãos
        • Estados
      • Serviços por público alvo
        • Cidadãos
        • Empresas
        • Órgãos e Entidades Públicas
        • Demais segmentos (ONGs, organizações sociais, etc)
        • Servidor Público
    • Temas em Destaque
      • Orçamento Nacional
      • Redes de Atendimento do Governo Federal
      • Proteção de Dados Pessoais
      • Serviços para Imigrantes
      • Política e Orçamento Educacionais
      • Educação Profissional e Tecnológica
      • Educação Profissional para Jovens e Adultos
      • Trabalho e Emprego
      • Serviços para Pessoas com Deficiência
      • Combate à Discriminação Racial
      • Política de Proteção Social
      • Política para Mulheres
      • Saúde Reprodutiva da Mulher
      • Cuidados na Primeira Infância
      • Habitação Popular
      • Controle de Poluição e Resíduos Sólidos
    • Notícias
      • Serviços para o cidadão
      • Saúde
      • Agricultura e Pecuária
      • Cidadania e Assistência Social
      • Ciência e Tecnologia
      • Comunicação
      • Cultura e Esporte
      • Economia e Gestão Pública
      • Educação e Pesquisa
      • Energia
      • Forças Armadas e Defesa Civil
      • Infraestrutura
      • Justiça e Segurança
      • Meio Ambiente
      • Trabalho e Previdência
      • Turismo
    • Galeria de Aplicativos
    • Acompanhe o Planalto
    • Navegação
      • Acessibilidade
      • Mapa do Site
      • Termo de Uso e Aviso de Privacidade
    • Consultar minhas solicitações
    • Órgãos do Governo
    • Por dentro do Gov.br
      • Dúvidas Frequentes em relação ao Portal gov.br
      • Dúvidas Frequentes da conta gov.br
      • Ajuda para Navegar o Portal
      • Conheça os elementos do Portal
      • Política de e-participação
      • Termos de Uso
      • Governo Digital
      • Guia de Edição de Serviços do Portal Gov.br
    • Canais do Executivo Federal
    • Dados do Governo Federal
      • Dados Abertos
      • Painel Estatístico de Pessoal
      • Painel de Compras do Governo Federal
      • Acesso à Informação
    • Empresas e Negócios
Links Úteis
  • Galeria de Aplicativos
  • Participe
  • Galeria de Aplicativos
  • Participe
Redes sociais
  • YouTube
  • Facebook
  • Instagram
  • Linkedin
  • WhatsApp canal
Você está aqui: Página Inicial Assuntos Centros de Pesquisa Tartarugas Marinhas Comunicação Últimas Notícias BDCTAMAR se consolida como locus de informações sobre as cinco espécies de tartarugas marinhas
Info

Notícias

BDCTAMAR se consolida como locus de informações sobre as cinco espécies de tartarugas marinhas

Ao todo 32 instituições já aportaram informações no BDCTAMAR.
Compartilhe por Facebook Compartilhe por Twitter Compartilhe por LinkedIn Compartilhe por WhatsApp link para Copiar para área de transferência
Publicado em 14/09/2023 16h45 Atualizado em 18/06/2024 09h46
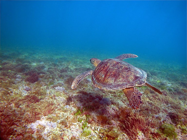
tartaruga marinha

O desafio de aproximar os meios acadêmico e empresarial da sociedade, por meio de pesquisas ou ações que reflitam os interesses e necessidades desta mesma sociedade, é imenso. No ICMBio-MMA, e especificamente no Centro TAMAR ICMBio, isto não é diferente. Tanto que se busca aprimorar frequentemente estratégias e ações visando atender cada vez melhor todos os segmentos, atento aos desafios de se conservar cinco espécies de tartarugas marinhas ao longo de toda a costa brasileira e os ambientes dos quais elas dependem para seguir completando seus ciclos de vida.

Ao todo 32 instituições já aportaram informações no BDCTAMAR, entre elas podemos citar a primeira instituição e a que mais aportou dados desde 1982 – a Fundação Projeto TAMAR - seguido do Centro de Estudos Costeiros, Liminológicos e Marinhos (Ceclimar/UFRGS) e do Núcleo de Educação e Monitoramento Ambiental (NEMA); e a partir de 2016 outras instituições e empresas como Eletronuclear e Porto do Açu Operações SA; e unidades de conservação geridas pelo ICMBio como a Rebio Atol das Rocas e o Parna Marinho dos Abrolhos.

Criado para ser um locus de armazenamento de informações acerca das cinco espécies de tartarugas marinhas que ocorrem no litoral brasileiro, o Banco de Dados para Conservação de Tartarugas Marinhas - BDCTAMAR é gerido pelo Centro TAMAR ICMBio e fica hospedado no Sistema de Informação sobre Tartarugas Marinhas – SITAMAR, desenvolvido e mantido pela Fundação Projeto TAMAR. O serviço oferecido não tem quaisquer ônus para o usuário externo, exceto os da conexão remota via Internet para acesso ao Sistema.

Quais informações estão no BDCTAMAR

Os pesquisadores que utilizam marcas cedidas pelo Centro TAMAR ICMBio, após o devido cadastro no Banco, devem inserir os dados referentes aos registros da tartaruga marcada, logo após a marcação. Entretanto, outros pesquisadores que não utilizam marcas, podem aderir ao BDCTAMAR para inserir os dados das ocorrências desses animais.

As informações a serem inseridas por pesquisadores e instituições cadastrados são a data e hora em que cada uma das tartarugas marinhas foram vistas/encontradas; o local (com detalhamento de coordenadas geográficas); a espécie e o tipo de ocorrência reprodutiva (com desova ou sem desova, por exemplo).

Nos casos de a tartaruga ser encontrada desovando, outro dado relevante a ser apresentado e compartilhado no sistema é a possível data de postura dos ovos e data de eclosão do ninho; nos casos de encalhes, o dado relevante é o comprimento curvilíneo da carapaça (CCC) da tartaruga marinha encontrada.

Relação com o PAN Tartarugas Marinhas - O BDCTAMAR é uma ferramenta de apoio à conservação e gestão das tartarugas marinhas, sintonizado com as ações 3.2, 5.9, 7.12 e 7.13 do Plano de Ação Nacional para Conservação das Tartarugas Marinhas, coordenado pelo Centro TAMAR ICMBio.

As informações cadastradas pelos usuários poderão ser utilizadas, especificamente para fins de gestão, ou seja, para embasar o planejamento e a implementação de ações visando a conservação das cinco espécies de tartarugas marinhas que ocorrem ao longo da costa, todas ameaçadas de extinção.

Para este fim, os dados poderão ser utilizados para elaboração de pareceres e notas técnicas pelo Centro TAMAR ICMBio e ainda serem disponibilizados publicamente de forma consolidada, como por exemplo, em estatísticas, relatórios e mapas, os quais poderão ser elaborados a partir de uma mescla de dados provenientes de diversos usuários.

Regras para aportar dados no BDCTAMAR

O BDCTAMAR possui regras e compromissos elencados em um Termo de Cooperação Técnica específico para este fim e conta com um Termo de Adesão por parte do pesquisador ou instituição interessada em aportar informações no Banco, sendo tal aporte obrigatório para quem recebe marcas do Banco Nacional de Marcações, e opcional para quem cumpra condicionantes de licenciamento ambiental e demais pesquisadores.

Neste Termo de Adesão estão estabelecidos normas e procedimentos, além do protocolo de acesso para que o pesquisador possa ter o seu login e senha. Os administradores do BDCTAMAR se comprometem a não utilizar os dados restritos cadastrados pelos usuários em nenhum tipo de publicação científica ou de divulgação, sem o devido consentimento prévio. Os interessados podem fazer contato com o Centro por meio do email centrotamar@icmbio.gov.br

Meio Ambiente e Clima

Conteúdo relacionado

  • grafico1bdc.xcf
Compartilhe por Facebook Compartilhe por Twitter Compartilhe por LinkedIn Compartilhe por WhatsApp link para Copiar para área de transferência
  • Serviços
    • Solicitar Autorização Especial para Captação de Imagem em Unidade de Conservação
    • Serviços do ICMBio no gov.br
      • Autorizações
      • Agendamento de visitas em unidades de conservação federais
      • Compensação de Reserva Legal
      • Crie sua RPPN
      • Seja um Voluntário
      • Solicitar Autorização Especial para Captação de Imagem em Unidade de Conservação
    • SEI! - Sistema Eletrônico de Informações
      • Barramento - ConectaGov
      • Protocolar documentos
      • Documentos
    • Sistemas do ICMBio
      • CANIE - Cadastro Nacional de Informações Espeleológicas
      • SAMGe - Sistema de Análise e Monitoramento de Gestão
    • Concessão de serviços de apoio à visitação
    • Solicitar autorização para Uso Comercial de Imagem de Unidade de Conservação Federais
    • Requerer Adesão à Solução Legal
    • Consultar ocorrência de embargo e Emitir Certidão Negativa de Embargo
  • Assuntos
    • Unidades de Conservação - por categoria
      • RDS
      • REVIS
      • MONA
      • ARIE
      • ESEC
      • REBIO
      • APA
      • FLONA
      • RESEX
      • PARNA
      • RPPN
    • Notícias
      • Últimas Notícias
    • Biodiversidade
      • Planos de Ação Nacional para Conservação de Espécies Ameaçadas de Extinção - PAN
      • Planos de Redução de Impactos sobre a Biodiversidade
      • Unidade de Conservação
      • Manejo de Espécies Exóticas Invasoras
      • Risco de Extinção da Fauna Brasileira
      • Genômica da Biodiversidade Brasileira
      • Programa de Manejo Populacional
    • Centros de Pesquisa
      • Aves Silvestres
      • Biodiversidade Amazônica
      • Biodiversidade Aquática Continental
      • Biodiversidade e Restauração Ecológica
      • Biodiversidade Marinha
      • Cavernas
      • Mamíferos Aquáticos
      • Mamíferos Carnívoros
      • Povos e Comunidades Tradicionais
      • Primatas Brasileiros
      • Répteis e Anfíbios
      • Tartarugas Marinhas
      • Biodiversidade Marinha do Sudeste e Sul
      • Biodiversidade Marinha do Nordeste
    • Criação de Unidades de Conservação
      • Legislação
      • Lista de Consultas Públicas
    • Dados Geoespaciais
      • Dados geoespaciais de referência da Cartografia Nacional e dados temáticos produzidos no ICMBio
    • Mosaicos e Corredores Ecológicos
      • Corredores Ecológicos Instituídos
      • Projeto Jalapão
      • Mosaicos Federais Reconhecidos
    • Proteção
      • Fiscalização Ambiental
      • Monitoramento Ambiental
      • Atividade de Inteligência Ambiental
      • Seja um Agente Temporário Ambiental
      • seja um brigadista
    • Consolidação Territorial
    • Gestão Socioambiental
      • 2019
      • 2018
      • 2017
      • Gestão Participativa
      • Gestão de Conflitos
    • Populações Tradicionais
      • Produção e Uso Sustentável
      • Políticas e Comunidades Tradicionais
      • Comissão das Reservas Extrativistas Federais - Conarex
    • Manejo para Conservação
      • Coordenação-Geral de Estratégias para Conservação
      • Coordenação de Avaliação do Estado de Conservação da Biodiversidade
      • Coordenação de Análise e Prognóstico de Risco à Biodiversidade
      • Coordenação de Planejamento de Ações para Conservação de Espécies Ameaçadas de Extinção - COPAN
    • Pesquisa
      • Iniciação Científica
      • Como participar
      • Nossos pesquisadores
      • Venha Pesquisar Conosco
      • Seminários de Pesquisa do ICMBio
      • Revistas e Periódicos
      • Inovação Tecnológica
      • Projetos Apoiados
      • Revista Biodiversidade Brasileira
      • CEUA ICMBio
      • Inovação Tecnológica
    • Programas e Projetos
      • Portal da Biodiversidade
      • Acordos de cooperação
      • Projeto Gestão Florestal para a Produção Sustentável na Amazônia
      • Credenciamento de Organizações da Sociedade Civil (OSC)
    • Compensação ambiental
    • Monitoramento
      • Painel Interativo Relatório Florestal
    • Patrimônio Mundial
    • Observação de aves
      • Lista das Unidades de Conservação Federais com turismo de observação de aves
      • Captação e uso de imagens
      • Calendário de eventos de observação de aves
    • Acessibilidade
      • Experiências para PCD visual
      • Experiências para PCD auditiva
      • Experiências para PC deficiência ou limitação de mobilidade
  • Acesso à informação
    • Institucional
      • O Instituto
      • Estrutura
      • Quem é quem
      • Agenda de autoridades
      • Atos Normativos
      • Centro de Formação em Conservação da Biodiversidade (ACADEBio)
      • Procuradoria Federal Especializada
      • Onde estamos
      • Missão
      • Comitê Gestor
      • Quem foi Chico Mendes?
    • Ações e Programas
      • Ações Socioambientais e Consolidação Territorial em UCs
      • Pesquisa, Avaliação e Monitoramento da Biodiversidade
      • Planejamento, Administração e Logística
      • Criação e Manejo de Unidades de Conservação
      • Carta de Serviços
      • Governança Institucional e Gestão Estratégica
    • Participação social
      • Consultas Públicas para Criação de Unidades de Conservação federais
      • Normativas/Planos de Manejo em Consulta Pública
      • Educação Ambiental
      • Consulta Pública Monumento Natural Cavernas do Desidério
    • Auditorias
      • Processos de Contas Anuais
      • Auditoria Interna
      • Transparência e prestação de contas
      • Ações de supervisão, controle e correição
    • Convênios e transferências
    • Receitas e despesas
      • Emendas de Relator (RP 9)
    • Licitações e Contratos
      • Licitações
      • Chamamento Público
    • Servidores ou Empregados Públicos
      • Terceirizados
    • Informações Classificadas
    • Serviço de Informações ao Cidadão - SIC
      • Fluxogramas
    • Perguntas Frequentes
    • Dados Abertos
    • Sanções Administrativas
      • Infrações Ambientais
    • Ferramentas e aspectos tecnológicos
    • Lei Geral de Proteção de Dados (LGPD)
    • Governança e Gestão de Pessoas
      • Programa de Gestão e Desempenho (PGD)
    • Concessão de Serviços de Apoio à Visitação
      • Paineiras Corcovado
      • Relatório Anual
      • Investimentos
    • SISFAMILIAS
      • Arquivos
  • Composição
    • Presidência
      • Arquivos
    • Diretoria de Planejamento, Administração e Logística
      • Currículo
    • Diretoria de Criação e Manejo de Unidades de Conservação
      • Currículo
    • Diretoria de Ações Socioambientais e Consolidação Territorial em UCs
      • Currículos
    • Diretoria de Pesquisa, Avaliação e Monitoramento da Biodiversidade
      • Curriculo
    • Gerências Regionais
      • Currículos
    • Unidades de Conservação Federais
  • Centrais de Conteúdo
    • Vídeos
    • Publicações
      • Atlas
      • Documentos
      • Gestão Estratégica
      • Legislação
      • Planos
      • Publicações Diversas
      • Publicações MMA
      • Relatórios
      • Revistas Científicas
      • Roteiros
      • Planos de Manejo Integrado do Fogo
      • Guias de Aves
      • Editais Diversos
    • Biblioteca
    • Logomarca
    • Painéis Dinâmicos do ICMBio
    • Série Parques do Brasil
      • Conheça a série Parques do Brasil
  • Canais de Atendimento
    • Imprensa
      • Notas à Imprensa
    • Ouvidoria
      • Conselho de Usuários
      • Sala de atendimento Ouvidoria
    • Processo Eletrônico
    • Corregedoria
    • Comissão de Ética
      • Integrantes Da Comissão De Ética
      • Código de Ética do ICMBio
      • Ética Pública
      • Atas das Reuniões
  • Redes Sociais/Canais
    • Facebook
    • Instagram
    • Youtube
    • Canal WhatsApp
    • LinkedIn
Redefinir Cookies
Redes sociais
  • YouTube
  • Facebook
  • Instagram
  • Linkedin
  • WhatsApp canal
Acesso àInformação
Todo o conteúdo deste site está publicado sob a licença Creative Commons Atribuição-SemDerivações 3.0 Não Adaptada.
Voltar ao topo da página
Fale Agora Refazer a busca